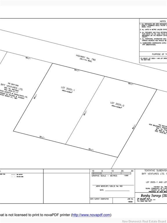
Vacant Land For Sale In Dipper Harbour, New Brunswick
$34,900None Beds
-
Details
-
Map
-
Demographics
-
Street View
-
Get Directions
-
Advertising

