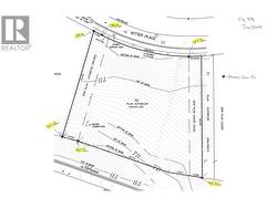
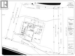
125 Reservoir Road, Enderby, British Columbia, V4Y 4B7
289 000 $No. MLS® 10370677
Le contenu de cette inscription est fourni par REALTOR.ca et a été autorisé par les membres de l'Association canadienne de l'immeuble.
Photos supplémentaires
























